Accueil » Transport Aérien » Page 61

Transport Aérien

Mots-clés dans cette thématique :

AEROPORTBRUSSELS AIRPORT737-9Alaska AirlinesBoeingSPIRIT AEROSYSTEMSAIR CANADAINCIDENTNTSBREX787aéroports françaisneigeaccident aerienBOACC-47contrôle aérienDC-3A321LRAirbusEthiad AirwaysCRASHmd-11eVTOLSkyportstaxi volantUAMAAIBAVRO RJ100AIRWAYS AVIATIONEcole de pilotageEDEISgrenobleVINCI AIRPORTSair antillescompagniesaint-martinMALAYSIA AIRLINESMH370AF KLM E&MMROAir Canada ExpressjazzA320ELACKOREAN AIRamsterdam-schipholrapport d'enquêteUPSUPS2976aviation durableEASAIATASAFACT AirlinesBOEING 747-400DGACpassager indiscipliné777XEMIRATESA350-1000ULRproject sunriseQANTASAIR SAINT-PIERREevasanF406saint-pierre-et miquelonA321XLRAMERICAN AIRLINESLEAP-1Aéblouissement solairephotovoltaïquecentenairelivrée anniversaireNouvelairCollision en volUA1093UNITED AIRLINES747UAE9788Pan Amfret aerienazerbaidjan airlinesguerre ukraineJ28243boeing 737-200Nolinor AviationRyanairtours777A380SPIRIT AIRLINESATR-72ATSBLIVREE DECOREELUFTHANSAcyber attaqueaéroportbase aérienneDRONEBibliographieA310-300BEA.CIKenya AirwaysDSNAair tahitiATR 72cisaillement de ventmétéoBN2T-4Sbritten-NormanSTOLkoreaQATAR AIRWAYSOACIGREVEAntonov An26BEAAIR FRANCEDouglas DC-4EUROAIRPORTUAFAegeanCARGORadiaWindRunnerAIR INDIAcontroleur aerienFNAMA330ofacPBEseseSWISSATRATR 72-600EMBRAERavion cargoBoeing 737-400MONTPELLIERswiftairwest atlanticSécurité aériennePilotesnimesSUPERSONIQUE747FBOEING 747-8FBoeing 727BSTdemantelementTARMAC AEROSAVEUAF&FAhélicoptèreWashingtoneurocontrolEUROPEtrafic aérienbilan accidents aériensAMELIATHALEStrainee de condensationAEROPORT DE TORONTOCRJ900Delta AirlinesACI EUROPEADPNICEdecarbonationAA5342CRJ700CVRFDRUH-60 Black HawkBOMBARDIERLearjet 55MedevacPhiladelphieH-60PotomacUS ARMYH-60 Black HawkMUACTRAFIC AERIENdéroutementCES LAS VEGASdelta air linesFello'FlyzeroeBoeing 737-800nantes-atlantiqueTRANSASIAACNUSAhanedaJapan AirlinesOCEAN INFINITY737-800COREE DU SUDjeju AirACCIDENTAZERBAIJANEmbraer 190kazakhstanMISSILERUSSIEE190El AlIsraël-Hamas737-10A321NEOPEGASUScycloneMAYOTTEklmtaxibotconvention de ChicagoICELANDAIRsmbcBoeing 737DHLHYDRAVIONTWIN OTTERDHL EXPRESSLYON-SAINT EXUPERYCompagnie aérienneczech airlinestchequieSCARASNPLtaxeAéroport BeauvaisJAPONWW2abeloATR 42-500KenyaP2FdusseldorfES-30HEART AEROSPACEhybride electriqueAirbus A350-1000CATHAY PACIFICROLLS-ROYCETrent XWB-84trent XWB-97brésilgivrageBlended Wing BodyEASYJETjetzeroUSAFA350-1000Commission européenneDoricA320neoBRITISH AIRWAYSair transatprojet sunriseSINGAPORE AIRLINESultra long-courrieratr 72-500BRESILPTB2283CLASSE AFFAIRESGASTRONOMIEbug informatiqueBORDEAUX-MERIGNACDash 8-400QantasLinkORLYratptransport aérien#jumpseat_abzDASSAULTmonopilotehandlingoadcarburant d'aviation durableLYONMARSEILLETOULOUSEcabineecoDemonstratorturbulenceATR EVOAvationloueurnepalYeti AirlinesbretagneCelesteA350covidespace aérienFINNAIRCHALAIREtihad AirwaysEtihad Aviation TrainingEtihad Flight CollegedubaiFLYDUBAIGuerre du GolfeQATARTRANSAVIACaen-CarpiquetVOLOTEA737 Max 9global airlinesAirbus A320neoPILOTEPNCAIR AUSTRALreunionair france KLMCMA CGM Air CargoFRETtrainée de condensationAvolonAirbus Beluga TransportBelugaSTpierre-yves huerreBoieng 737 MAX 9crnaIAintelligence artificielleONERADASH-8JALJAL516brestAirbus A350Airbus A350-900Appel d'offreNOTRE-DAME-DES-LANDESVinci Aiports737 Max 8Lufthansa Groupaura aeroERAhybride-électriqueéruptionGrindavikISLANDEKeyflavikvolcanTURKISH AIRLINESEtats-UnisFormation aéronautiquepénurie pilotesretraiteAERODROMECour des comptesoccitanie787 Dreamlinerarcher aviationBETA TECHNOLOGIESborne de borne de rechargeMidnightFFAtotalenergiesvoltaeroaéroports787-9antarctiqueNorse Atlantic AirwaysEyjafjallajökullFederal ExpressFEDEXBoeing 737 MAXBoeing 737 MAX 7Southwest Airlines737MAXUral AirlinesPARIS-CDGPARIS-ORLYAIR CORSICADSPAIR FRANCE-KLManniversaireair guyaneJO PARIS 2024VOLOCOPTER787-10A350-900BoryspilUkraineACISchipolCompagnies aériennesEuropean Cockpit AssociationfatiguePILOTE DE LIGNEA380 QANTASBELGIQUEAIR CARAIBESFrench beegroupe dubreuilAMERRISSAGETransairoyonnairP-180 avantiPiaggio AerospaceBEECH 1900DTWINJETSkyAlpsTamarack Aerospaceavion hybride électriqueSAShydrogèneelectrification737 Max 10transport et environnementAPAVECAMASFORMATIONAF447rio-parisAERO CLUB de FRANCEairnovaAITcapsAegean AirlinesAegean CAE Flight TrainingCAEFORMATION PILOTEtransport&environnementurban air mobilityARCHERARABIE SAOUDITEriyadh airEUROWINGSCrash aérienSECURITE AERIENNE737 maxNormandieCONTROLEURS AERIENSSIMULATEURDC-10MD-10CANADAtransport canadaRECRUTEMENTNépal747-8A340-600eaibETHIOPIAN AIRLINESbrussels airlinesNESTEcheminement librecontrôle en-routefree routemaastrichtCORACECOLOGIEPOLLUTIONTRAINTRANSPORT AERIENEthiadC919China EAstern AirlinesCOMACair new zealanddécarbonationHYDROGENEhydrogene-electriquePRATT & WHITNEY CANADAPW127MAir BPNEXTLATAMpompierSSLIA737-800 BCFA320P2FA350Ffret aérien747-8F777-300ER777FBeaujolais Nouveauaviation partners737-8-200CHINA SOUTHERNATR 42-600CHINEATR 42tanzanieA220-300IOSAJoby Aviationcréneaux horairesparlement européenUNION EUROPEENNEAlpha Trainer 2MESA AIRLINESPIPISTRELademeCadetssortie de pisteES-19SAABESALEONARDOmeteosatsatellitethales alenia spaceTAHITI FAA'Avinci aiprortsA4Ecanso europe767FB767-300 BCFAirbus A330procéduresaccidentssécuritéBOEING 737-500JUMP SEATtunisairacadémie de l'air et de l'espacecolloqueair liberteAIRPROXmd-83Condor747-400777-8Fcargoluxfarnborough 2022ATR 42-600Sétude prospectivefeel airA220JETBLUEsuissFlybevinciairports5GAEROPORTS DE PARISBRUXELLESbussels airlinesLILLESAFcarburant d'aviation durabletraffic aérienavikorexolumVUELINGANTILLESairlecDHC-6 Twin OtterTara AirBoeing 737 MAX-8200IAGAir France KLM Industriescma cgmSAFRAN LANDING SYSTEMSsmart landertibet airlinestotal energiesCAUTRACNRAF-GSQJajaccioPerformance BAsed NAvigationRNP ARAliceAVION ELECTRIQUEcape airCommuter électriqueeviationp-2012 travellerTECNAMD328ecoDeutsche AircraftE-JetE-jet E2ARJ21De Havilland Aircraft of CanadaMITSUBISHIQ400SSJ100SUKHOIZeroAviaDe HavillandMA600scope clauseintegral ESAFRAN ELECTRICLA POWERAéroport Lyon Saint-ExupéryAF011remise de gazCOVID19failliteoccasionSTART UPciel uniquegestion de traficnavigationDEVELOPPEMENT DURABLEriverainsEmissions Trading SystemETSFédération de RussieFinntraffic ANSALOTLettoniewizzairAEROFLOTRed wingsRostecS7TU-214Tupolevchina easternanalyseCefa AMScefa aviationCefa FASdebriefingEFBElectronic Flight BagSECURITE DES VOLSAsieGuerreRoutes777XFE190FE195FTOULOUSE-BLAGNACA319TarbesCAdemande passagersCIRRUS AIRCRAFTEGALITE DES CHANCESSR20 tracGroupe ADPair inuitGENEVEomicronBoeing 737 MAX 8ET-AVILION AIRAEROPORTSAIR TraficpassagersAirbus Transport InternationalBeluga STBELUGA XLBORDEAUXKitty HawkwiskFRAFree Route Airspaceoéprations commercialesAirlines for AmericaDELTAFAAunitedslotsreprise737-200737MAX 7allegiant AirAirbus H225AIRBUS HELICOPTERSATIle havresealarcovid-19AFRIJETgabonla compagnieBIOCARBURANTécoresponsableFlying GreenB717B737 MAX 7E190-E2E195-E2JETSTARbilan 2021LOW COSTObservatoire de l’aviation durableclermont ferrandle bourget777_8777-9A350XWBaero biodiversitebiodiversitéFFPLUMA330FCommandesDubai Airshow 2021Pratt & WhitneyPW127PW127XTconnectivitédelaysretardsCORSAIRredevancestaxesaeroports cote d'azurbologneromeveniseConcordeMark ForknerMCASUS department of justiceAll Nippon AirwaysANANaritaCOMPAGNIE AERIENNEplayair maltaMalta Tourisme Activityair liquideA321Braathens Regional AirlinesPratt & Withney Canada PW127Mmonocouloirprévisions787-9 DreamlinerA321neo LRla réunionparis aeroportscorsiafit for 55CERFACSENACICCAISAE-SUPAEROl’ONERAMétéo Francerechauffement climatiquechaire pégasevoyages d'affairesBoom SupersonicOverturebiélorussiedetournementFR4978BelaviaBoycottcontournementMinskSUISSEtest anti-covidAéroport Berlin-TegelBerlin-BrandebourgOtto-LilienthalBeaverh55harbour AirmagnixBye AerospaceegeniusSAFRANsafran electrical powerlorientAero PyrénéesAirways collegeAPA TrainingAPNAEPAG NGa340B747Spire AviationBen smithembauchesSOUTHWESTLOW COST LONG COURRIERNORWEGIANENQUETEIRANPS752ukraine airlinescommuterP-2010p-voltWIDEROEAF066podcastA330-200F717Boeing 747reconstitutionVol TWA 800feu moteurPW4077UA328CATpilotes professionnelstransport commercialUNCAFDUBREUILSJ182Sriwijaya Airmakerterminal 4sitaFRANCFORTLondres-heathrowmadrid-barajasAmazonBoeing 767e-commercefret expressWESTJETAn-124quadriréacteurspegaseuniversite du transport aerienvaccinCAACtransports canadaBeechcraft 1900DTWIN JETRecrutement pilotesTU-154biomimetismeCO2environnementSAS scandinavian airlinesBoeing 747-8CDG EXPRESSflotteroyal bruneiCityAirbusregion ile-de-franceVAHANAvolocityALLEMAGNEBERLINEMPLOIPILOTAGEAlpha ElectroJU-52HOP!pakistanPIAPK8303anchorageted stevens anchorageE145777-300ERSFbig twinBoeing 777FGECASIsraël Aerospace Industriesavion régionalM100M90MHIspacejetCESSNAfinist'airgrand caravanvideostockagesécurité sanitaireflygskaminterview vidéocoronavirusaéroport MArcel Dassault châteaurouxchateaurouxanne rigailAustrian AirlinesGERMANWINGSmaintenance aeronautiqueRoissy CDGCHAMBERYchartercharter des neigesskiALITALIAair tahiti nuiB787-9PARISaile volantemavericsingapore Airshow 2020faits marquants mensuelsdjebbariSUEZTOTALTRAFIC AEROPORTUAIRE MENSUELAIGLE AZURmissilesUS NAVYPS-752A350-900 ULRBoeing 777XTRAFIC MENSUELAVIONIQUEcohorBoeing 737-700CFM 56bendix kingG950sélectionsFAITS MARQUANTSE-VTOLmobilité urbaineFMSformation pilote de ligneFULL FLIGHT SIMULATEURsimaerodubai airshow 2019SESARbiman bengladesch airlinesDREAMLINEREGYPTAIR#aerobuzz10INDIGOC-SERIESNBAA 2019P2012 TravellerQF7879XL AIRWAYSsenatDOUANEOMCTRUMPA330neoASSISES NATIONALES DU TRANSPORT AERIENgouvernementecotaxeministere des transportsbeauneurosciencessalon du bourget 2019SIAE 2019santéeditorial787-8TRENT 1000PGSECAURBAN MOBILITYbar francePRIVATISATIONLEVELlong courrier low costSU1492AIR CANDAATR 24-600Silver AirwaysA32neoNMAET302jt610AstonflyTOUSSUS-LE-NOBLEbrexitairbus flight academy europeANGOULEMET4ACFFACTEURS HUMAINSpinetEVSAAECYBER SECURITEstatistiques crashgatwickAEROPORTS DE LYONATPLcanard droneAirshow china 2018arj21-700cdgTAHITIFRENCHE BEEIFTMAir HelpAir IndemnitéDroits des passagersFlight RightRefund my TicketNANTESAir SénégalASSISES 2018797MMAfarnborough 2018turbopropulseurBattistiOSPOMNAPAPREVISIONLIEBHERRPFDjanaillacwest windGALILEOGARMINGPSformation pilotesL3 Airline AcademybilliAerospace Industry CorporationAn-225 MyriaAntonovFFSASSISES AERIENATOCS100CS300EP-3704An-146BALPAsyndicats757767FRENCH BLUETRAFICrecrutementsSECURITEBREGIERLEAHYA321neoACFA321neo ACFA330-200aviation commercialedronesimpactscompagniesE-FAN XFLIGHTPATH 2050SIEMENSEngine Alliance GP7200ALAFCODubai Airshow 2017FRONTIERINDIGO PARTNERSJETSMARTVOLARISWIZZ AIRSURETE330neoAIR MAURITIUSDECONSTRUCTIONAF006P2012A380plusCINEMAThaï AirwaysSAISON HIVERCOSPAS-SARSATMEOSARORALIAPROJET HELIOS737MAX10SALON DU BOURGET 2017A38OINNOV ATMPARIS AIR LABELECTRONICS BANPED BANAOCCBAHREINNEW YORK JFKFELDZERMEDIATIONNDDLIRKUTMC-21BOOSTLONG-COURIER LOW COSTBENINMOZAMBIQUELEAP-1CPRESIDENTIELLEMANAUTINSECURITEUSAFHAFI KLM E&MINNONDATIONSETIHADPAU'PYMONACAIRMONACOCITYJETAH5017AIR ALGERIESABEHSNC LAVALINDAHERIFRMonoturbinePILATUSTransportSULLYVOL US1549COLOMBIELAMIAEASTWOODVOL1549EPLMS804ERATO2035CEMPNCLASSE 1MEDICALUSPNTTRUST TOGETHERZAVENTEMEXPRESSISTESLEIPZIGCOLLISIONHEXAIRVIET JETVIETNAMVIETNAM AIRLINESCUBAVOLDIRECTDIJONDOLE-JURAAVION DECOREA_chaudredevances aéroportuairesSTRASBOURGMH17WIJETSENEGAL777-200Fondation d'entreprises AirbusDUBAI 2013RPK787 BUGBOURGET 2013ZodiacDAHER-SOCATATBM850VideoBuzzSMAC130LOCKHEED-MARTINEPAGSOLAR IMPULSEFALCONEUROPE AIRPOST737VOL AF447IBERIAAn-225AIRLINAIRBRITAIRREGIONALALENIAEADSA330MRTTA400MAIRBUS MILITARYC295CN235TOULON-HYERESHONEYWELLROCKWELL COLLINSMECANICIENPRECISION AIRDIVERSITEGIMONT 2012LATECOEREBAUHAUS LUFTFAHRTiPHONE - iPADG650GULFSTREAMFARNBOROUGHAEROLIAGLOBALALCATR72-600CHALLENGERCITATIONLATITUDENETJETSISAEAIR MEDITERRANEEEBACE 2012LONGITUDESILVERCRESTSNECMASUPERJET 100AIR NOSTRUMESMAEASTERN AIRWAYSESPACENASAVATRYASFEUROCOPTERAIRBERLINFRENCH CONNECTGIMONTNECROLOGIEGIFASHANDICAPEHANDIVOLI-4DSINGAPOUR 2012WINGS AIRTAMMALEVCFMTENDANUBE WINGSG200RUTANTOURISME SPATIALUS AIRWAYSAVIATION D'AFFAIRESVISTAJETBOURGET 2011afficher_dans_lettre_infoAEROVISIONVIRGIN GALACTICAERO 2011SKYLANDERCafeAir PArtnerRAFALELe Net PratiqueIAAGPILOTES DE LIGNENBAA 2010PHENOM 300X3CHAMBLEYEC175GECIColumbusCORVALISbiréacteurPratt & Whitney PW810PME-PMIVISION SYSTEMS

premium
Fin de saison été en beauté pour les aéroports français

Les programmes été 2017 particulièrement riches cette année ont continué à tourner à plein régime comme en témoignent les résultats de trafic d’octobre 2017 de Toulouse-Blagnac (+13,9%), Lille-Lesquin (+18%), Montpellier-Méditerranée (+13,55%) ou encore Rennes-Bretagne (+18,8%) et Strasbourg-Entzheim (+21,6%). A Bordeaux-Mérignac (+4,8%), l’effet TGV plombe de manière spectaculaire, les résultats d’octobre 2017.

premium
Octobre 2017 sur les aéroports français

Crispation à Nantes où les trois médiateurs préparent le terrain en vue de la remise de leur copie, le 1er décembre prochain. Pendant ce temps, Lyon-Saint Exupéry inaugure son nouveau terminal T1, Bordeaux s’apprête à accueillir la nouvelle base d’esayJet et Marseille celle de Volotea. Les ouvertures de lignes de multiplient sur les aéroports régionaux. Hop ! Air France est dans le tempo. [Faits marquants en octobre

premium
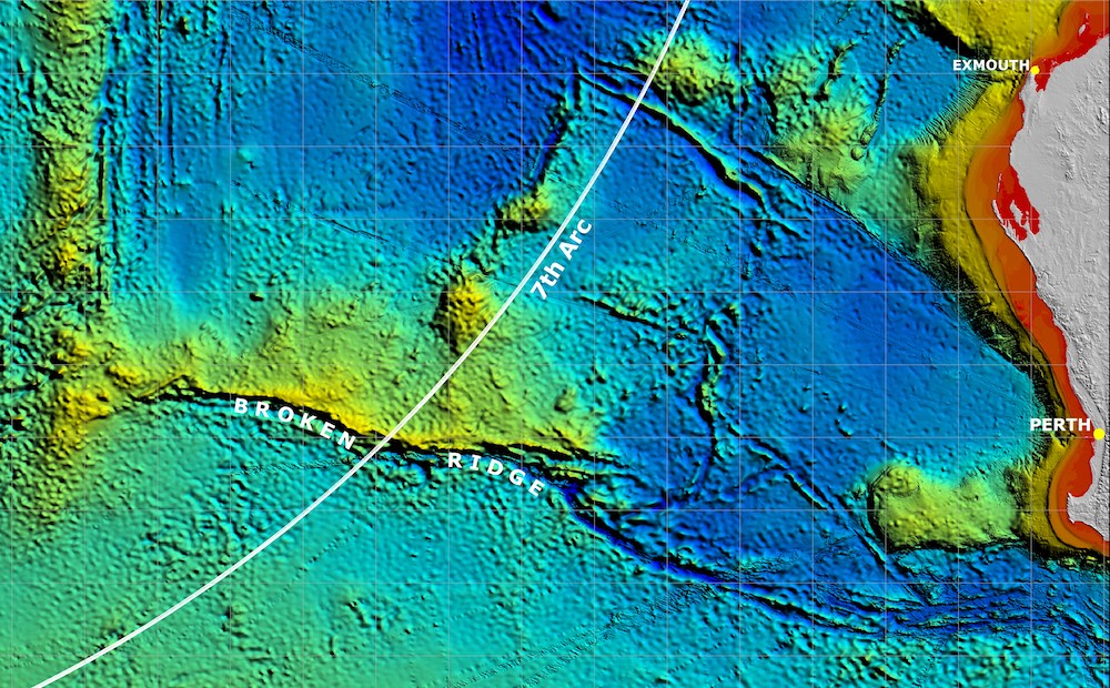
MH370 : « L’analyse de l’état physique de certains débris a renforcé l’hypothèse d’une chute brutale. »

Le rapport publié début octobre 2017 par l’Australie s’attache aux conditions de l’enquête. La recherche des causes de l’accident du vol MH370 est à la charge de la Malaisie qui depuis avril 2015 reste muette. Pourquoi ? Comment expliquer un déclenchement aussi tardif des recherches ? Pourquoi les Australiens ont-ils pris autant de risques pour retrouver l’épave au sud de l’Océan indien ? Comment Ocean Infinity, la société privée

4 commentaires

Le rapport australien MH370 (3/3) : retour d’expérience

Les plus couteuses recherches de l’histoire de l’aviation civile pour retrouver un avion n’ont pas permis de localiser l’épave du vol MH370. En s’appuyant sur le rapport de l’ATSB, Jean-Paul Troadec, ancien directeur du BEA, met en évidence les enseignements qu’il est possible d’en tirer et qui pourront contribuer à améliorer la sécurité du transport aérien. La disparition du 777 de Malaysia Airlines restera-t-elle un mystère

2 commentaires

Le rapport australien MH370 (2/3) : le rôle de l’Australie dans les recherches du 777

Le rapport final sur les recherches du vol MH 370, disparu dans l’Océan Indien le 8 mars 2014, explique dans quelles conditions, l’Australie s’est vue confier la direction des recherches après une période de flottement. Dans cette deuxième partie de son analyse du rapport de l’ATSB, Jean-Paul Troadec, ancien directeur du BEA, souligne l’impréparation des autorités malaisiennes, mais aussi de la Chine et de l’Australie, impliquées

5 commentaires

Le rapport australien MH370 (1/3) : comment la zone de recherche s’est déplacée

Jean-Paul Troadec, membre de l’Académie de l’Air et de l’Espace, a dirigé les opérations de recherche du vol AF447 lorsqu’il était directeur du BEA. Son expertise a été sollicitée par les autorités malaisiennes pour la définition de la stratégie de recherche de l’épave du vol MH370. Pour Aerobuzz.fr il a décortiqué le rapport de l’ATSB australien de 440 pages sur les recherches du vol MH 370.

28 commentaires
Transport Aérien

premium
Air Mauritius mise sur la complémentarité A350XWB – A330neo

Air Mauritius vient de réceptionner le premier de ses six A350-900 destinés à remplacer ses vieux A340-300. Comme beaucoup d’autres compagnies, elle a également choisi, en complément, l’A330-900neo. Ces deux longs courriers sont présentés comme les atouts de la plate-forme de correspondances qu’elle ambitionne d’implanter à Maurice. Air Mauritius va aussi devoir composer avec la pénurie croissante de pilotes long courrier. De récents événements démontrent que

Transport Aérien

premium
Les aéroports français prolongent l’été en septembre

Même si les saisons IATA du transport aérien, ne collent pas complètement aux saisons du calendrier, en septembre 2017, les programmes Eté continuent de porter le trafic, essentiellement en régions. Si la Corse bat des records, la palme revient à Strasbourg (+22,8%) qui semble être en passe de digérer l’effet TGV, au moment où Bordeaux, commence à accuser le coup.

1 commentaires
Industrie

Tarmac Aerosave : de la déconstruction à la remise en ligne

Sur l’aéroport de Tarbes, Tarmac Aerosave fête cet automne son dixième anniversaire. L’idée de départ qui tournait autour du stockage et du démantèlement des avions de ligne a donné naissance à un spécialiste du MRO (maintenance et réparation) et ouvert la voie au recyclage des matériaux composites, plus particulièrement de la fibre de carbone. L’avenir de Tarmac Aerosave, devenu N°1 européen sur son créneau, passe, également,

2 commentaires